PINZAMIENTO TIPO CAM.
De origen femoral.
Es mas frecuente en hombres jóvenes, con promedio de 32 años. Es ocasionado por una anormal configuración en la parte externa de la cabeza femoral. (26). La pérdida de la esfericidad, disminuye la profundidad de la unión entre la cabeza y el cuello femoral, produciendo fricción del reborde acetabular, durante los movimientos. (25). (Fig 100).
En esta tipo de pinzamiento el daño producido en el cartílago articular, es mas extenso, que en el tipo pincer. (26).
La prominencia osea anormal puede localizarse en la parte externa de la cabeza femoral, originando el signo de empuñadura de pistola a nivel anterosuperior. (26). (Fig 101).

Fig 100. Pinzamiento tipo cam.
Rx AP de cadera. Producido por alteración morfológica del cuello femoral.

Fig 101. Pinzamiento tipo cam.
A y B: Rx AP de cadera. Prominencia en la parte externa de las cabezas femorales, en diferente grado, produciendo el signo de la empuñadura de pistola.

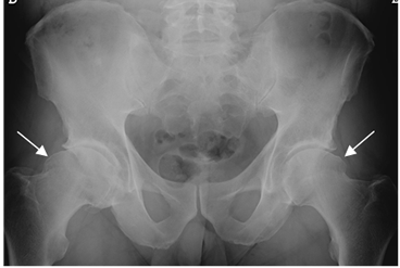
Fig 102. Pinzamiento tipo cam.
Rx AP de pelvis. Prominencia bilateral, en la parte externa de ambas cabezas femorales, que produce pinzamiento tipo cam.
Para cuantificar la esfericidad de la cabeza femoral, se utiliza el ángulo alfa. Se puede trazar en una proyección simple axial o en un corte axial oblicuo de RM, paralelo al eje del cuello femoral.
En la RM se escoge el corte donde el cuello femoral es mas delgado. Se traza la circunferencia de la cabeza femoral y ubica el centro. El ángulo se mide entre el eje del cuello femoral y el punto donde se corta el borde de la cabeza femoral, con el contorno de su circunferencia. Para aumentar la especificidad, se considera un ángulo normal, cuando es menor de 55º. (22, 27). (Fig 103, 104 y 105).
Fig 103. Orientación de cortes axiales oblicuos.
RM coronal en STIR. Los cortes deben seguir la orientación del eje del cuello femoral.
Fig 104. Pinzamiento tipo cam. Angulo alfa normal.
RM axial oblicua de cadera. Trazado entre el eje del cuello femoral y el sitio donde se corta la circunferencia de la cabeza femoral, con el borde lateral.

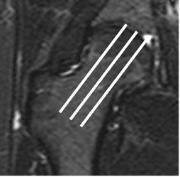
Fig 105. Pinzamiento tipo cam. Angulo alfa aumentado.
A: Rx AP de cadera y B: RM coronal en T1. Prominencia del borde lateral de la cabeza femoral, por pinzamiento tipo cam.
C: RM axial oblicua de cadera. Aumento del ángulo alfa, mayor de 55º.
La coxa vara con un ángulo femorodiafisiario menor de 125º, es otra causa de pinzamiento tipo pincer. (26).
Existen signos secundarios de pinzamiento femoroacetabular, sobre la topografía del labrum, que es la estructura principalmente comprometida. Incluyen calcificación del labrum, formación de osteofitos, doble contorno acetabular y herniación sinovial en la cabeza femoral. (26). (Fig 106, 107, 108 y 109).

Fig 106. Signos secundarios de pinzamiento.
A y B: Rx AP de cadera. Diferentes grados de calcificación en el labrum articular.

Fig 107. Signos secundarios de pinzamiento.
A: Rx AP y B: TAC reconstrucción coronal. Formación de osteofitos en el reborde acetabular y la cabeza femoral.

Fig 108. Signos secundarios de pinzamiento.
Rx axial de cadera. Los osteofitos son mejor vistos en la proyección axial.

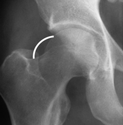
Fig 109. Signos secundarios de pinzamiento.
Rx AP de cadera. Imagen redondeada y densa en el cuello femoral, que corresponde a herniación sinovial.
| Fecha de creación | Marzo 1 de 2011 |
| Fecha de actualización | Julio 11, 2013 |